物件情報

Estates

物件データ詳細

登録No.0389 空き家

登録No 0389
分類 土地・建物
形態 売却
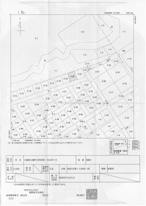
所在地 白糠町西庶路東2条南1丁目1番地18
面積 土地面積 1番13 278㎡(84.09坪) 1番18 357㎡(107.99坪)  土地総面積 635㎡(192.08坪)  家屋面積 1階 92.61㎡(28.01坪) 2階 25.92㎡(7.84坪)
構造 木造亜鉛メッキ鋼板葺2階建
築年 昭和57年8月 築43年
補修要否一部修正か
補修費用購入者
間取り 4LDK
希望価格250万
利用状況令和3年まで居住
設備状況電気・上水道・下水道接続済 水洗トイレ 暖房・風呂(灯油) ホームタンクなし 車庫・物置あり 庭あり
交通 西庶路駅0.35km バス停0.35km 役場庶路支所0.9km 病院0.75 庶路こども園・庶路学園1.5km 高等学校7.4km 郵便局0.65km 公園0.6km コンビニ0.6km スーパー0.35km 消防署白糠支所6.9km 警察署西庶路駐在所0.55km
備考 車庫・物置は基礎コンクリート打設、建物もしっかりしています。
家屋・車庫・物置は1番18の土地に建てられております。